Vuelven a aparecer gatos con disparos en Huércal
Vecinos denuncian la aparición de felinos muertos en sus calles

Un gato con perdigones en su interior.

Un gato fallecido debajo de un vehículo.

Se suceden las muertes de felinos.

Uno de los gatos recogidos por los vecinos.

Disparos a un felino.

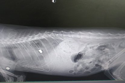
Radiografía donde se ven los perdigones.

Más gatos explorados para comprobar los disparos.
